Ταξινόμηση
Close Sorting
Μοιραστείτε το
Close Filters
Κατάλογος ακινήτων
Πληροφορίες
Εκδόσεις
  Love Share etc
Αποθήκευση Κοινή Χρήση Εκτύπωση

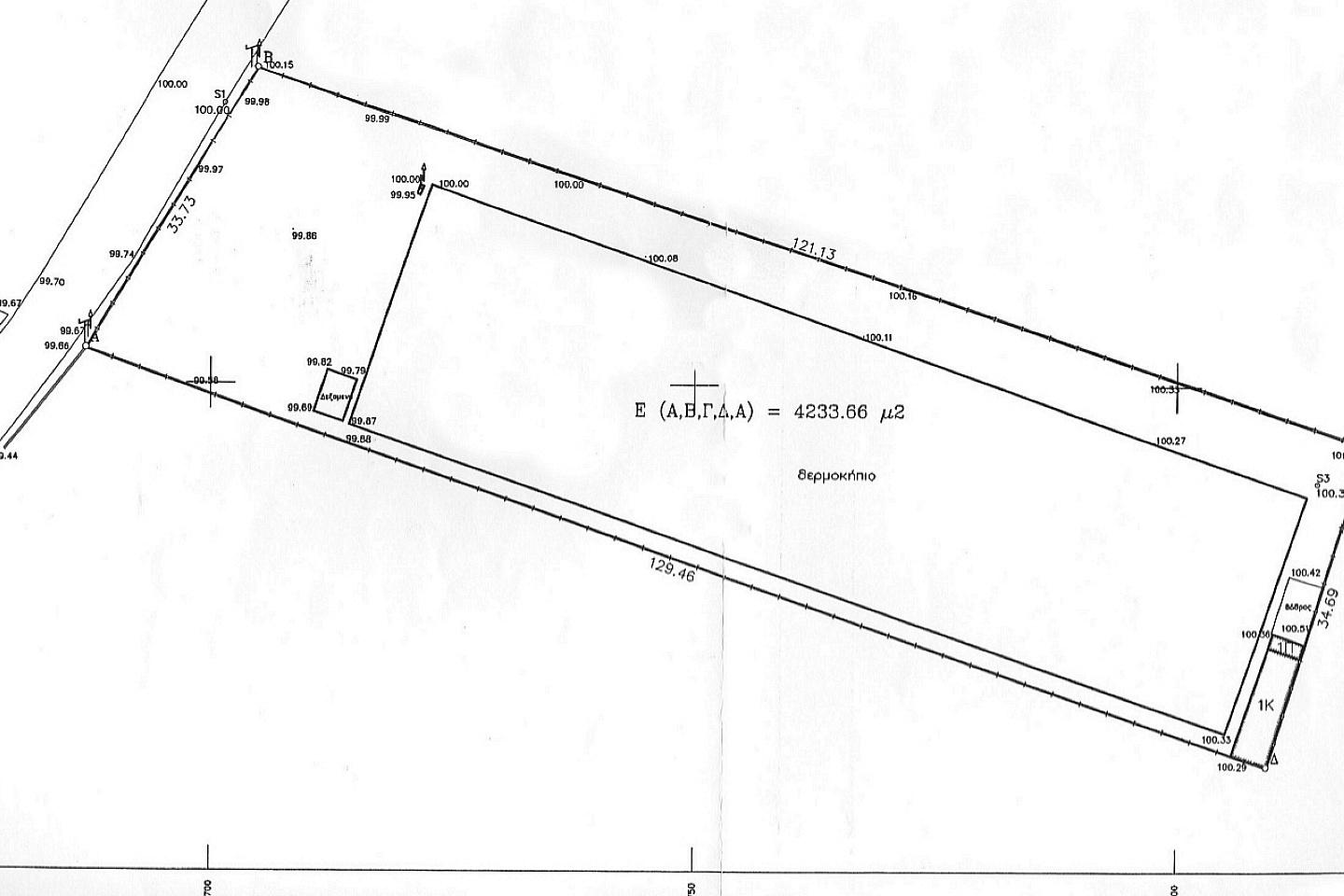
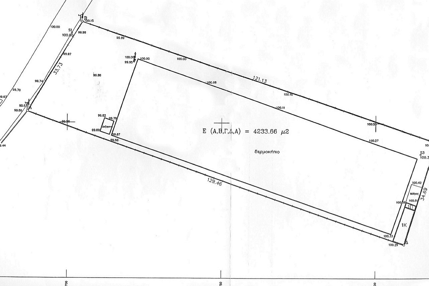
758 Αχαρνές οικόπεδο 4,2 στρ προς πώληση

 
Κωδικός ακινήτου
81
Περιοχή
Αχαρνές (Μενίδι)
Είδος Ακινήτου
Οικόπεδο
Συντελεστής Δόμησης
0.20
Συντελεστής Κάλυψης
10%
Εμβαδόν
4.200 τ.μ.
Τιμή
Επικοινωνήστε

Περιγραφή Ακινήτου

Αχαρνές, οικόπεδο 4.200 τετραγωνικών μέτρων σε κεντρικό σημείο της περιοχής, προς πώληση.

Το οικόπεδο είναι άρτιο και οικοδομήσιμο, με συντελεστή δόμησης 0,2, οπότε μπορεί να χτίσει ακίνητο συνολικής επιφάνειας ανοδομής 840 τετραγωνικών μέτρων με μέγιστη κάλυψη 10%.

Το οικόπεδο έχει καλές διαστάσεις με πρόσοψη σε ασφαλτοστρωμένο δρόμο 34 μέτρα. Βρίσκεται εντός ΓΠΣ με χρήσεις γενικής κατοικίας. Η πρόσβαση από την Εθνική Οδό Αθηνών Λαμίας είναι πολύ καλή. Είναι κατάλληλο για πολλές χρήσεις, αποθήκες, μαρμαράδικα, αλλά και για επένδυση.

Δείτε περισσότερα οικόπεδα και βρείτε αυτό που ταιριάζει στις ανάγκες της επιχείρησης σας με μία επίσκεψη στο terraproperty.gr

Χαρακτηριστικά Ακινήτου

Ζητήστε Πληροφορίες
Φόρμα Επικοινωνίας Ακινήτου

Δείτε Επίσης